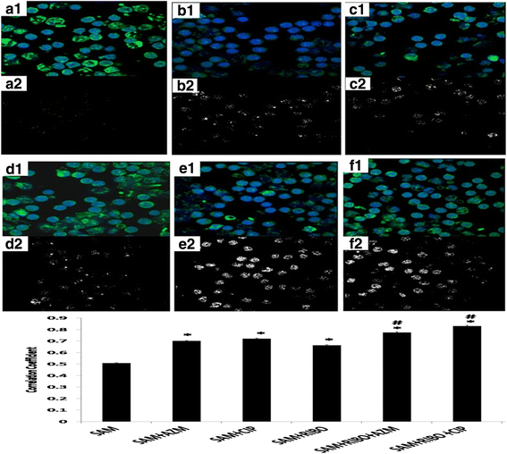
Fig. 2

Study of immunofluorescence for engulfment of bacteria by peritoneal macrophages and their co-localization by confocal microscopy. Phagocytosis analysis was done by confocal microscopy. In Fig. 2 (a1, b1, c1, d1, e1, f1), the merged image of phagocytosis was depicted, where green (FITC) stained bacteria were phagocytosed by Hoechst stained (Blue) macrophage. Fig. 2(A2, B2, C2, D2, E2, F2) represent signals from co-localized probes. Fig. 2G Pearson’s correlation coefficients (PCCs) of images of internalized FITC stained S.aureus in Hoechst stained Riboflavin either alone or AZM or CIP pre-treated Macrophage cells. Fig. 2 (A1, A2) represents SAM, Fig. 2 (B1, B2): AZM + SAM, Fig. 2 (C1, C2): CIP + SAM, Fig. 2 (D1, D2) :RIBO + SAM, Fig. 2 (E1, E2): RIBO + AZM + SAM, Fig. 2 (F1, F2): RIBO + CIP + SAM. *, represents significant difference with respect to SAM,#, represent significant difference with respect to RIBO + SAM at p < 0.05 level of significance